조황관리HOME / 조황관리 / 상세정보

제목 : 씨알급 감성돔 조황입니다
등록일 : 2026-03-22


















#오늘의조황
안녕하세요?
마초맨본부(여수전국낚시)박진국 입니다.

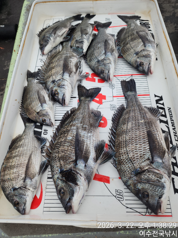
●22일 일요일 48cm감성돔 마릿수 조황
주춤했던 감성돔 조황이 살아나고 있습니다

내일 출조는 가족적인 분위기로 출조합니다
출조예약 주세요

●조류만 가면 입질온다....!!

☆목줄관리 철저하게 하시기 바랍니다.
☆원줄(프로팅)사용 3호이상.
☆목줄 2~3호 사용권장 합니다.
☆막대찌 2~3호 사용
☆감성돔바늘 3~4호바늘 권장합니다.

●선비+밑밥+미끼+커피+뜨거운물=
●포함100,000원에 모시고 있습니다.
●단체출조는 일주일전 사전예약 가능
●휴식공간: 넓은 선실에서 잠시 휴식
뜨거운커피 수시로 드실수있는 선실네에
비치되어 있습니다 커피뿐만 이니고
컵라면도 드실수있는 뜨거운물 있습니다.
●편한 낚시를 즐겨 보시기 바랍니다.

☆아주 늦은 시간에도 전화주세요
함꾸네 가실수 있습니다.

☆마초맨본부,출조현황☆
20일(금)선상낚시,자리여유 (확정) 9물
21일(토)선상낚시,자리여유 (확정) 10물
22일(일)선상낚시,자리여유 (확정) 11물
23일(월)선상낚시,자리여유 (확정) 12물
24일(화)선상낚시,자리여유 (확정) 13물
25일(수)선상낚시,자리여유 (확정) 14물
26일(목)선상낚시,자리여유 (확정) 조금

사전예약 부탁 드립니다.
마초맨본부: 010 3608 6131
감사합니다.



*** 여수 전국낚시 예약 안내 ***


예약문의 : 010-3608-6131

오시는길 : 전남 여수시 신월5길 50

모바일.jpg 

Top